Service Guide

Get Ants Extermination Service

Local contractors specializing in ant extermination can eliminate ant infestations and prevent future problems in residential or commercial properties.

Ants can quickly become a persistent nuisance for property owners, making effective extermination services an important consideration for maintaining a comfortable and pest-free environment. Whether dealing with an active infestation or seeking preventative measures, residents and business owners in the area often explore local contractors who specialize in ant control to find practical solutions tailored to their needs. By comparing the options available, property owners can identify experienced service providers capable of addressing their specific concerns efficiently.

Choosing the right ant extermination service involves evaluating local contractors who understand the unique challenges of the area and can implement effective treatment strategies. Property owners are encouraged to explore their options carefully, ensuring they select experienced professionals equipped to handle ant issues effectively. Continuing to read can provide helpful insights into how local service providers can assist in creating a pest-free space that meets individual property needs.

Get Ants Extermination Service Quotes

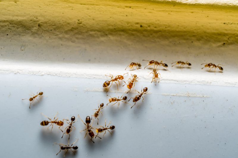
  • Ants Extermination - needed when ants invade a home or business, causing discomfort or contamination.
  • Ants Prevention - required to stop ant colonies from establishing around residential or commercial properties.
  • Ants Inspection - necessary when signs of ant activity are detected or for routine pest monitoring.
  • Ants Removal - sought after when existing ant infestations need to be eliminated effectively.
  • Ants Control - essential for managing ongoing ant problems and preventing future outbreaks.
Ants Extermination Service
Ants Extermination Service
Ants Extermination Service

Ants extermination services involve identifying and eliminating ant infestations in residential or commercial properties. Trained service providers assess the extent of the ant problem, locate entry points, and apply targeted treatments to remove colonies and prevent future invasions. These services typically include inspecting the property, applying appropriate baits or insecticides, and providing recommendations to reduce attractants that draw ants indoors. The goal is to create a pest-free environment by effectively controlling the ant population and addressing the source of the infestation.

Ant problems can cause significant frustration and property damage, especially when ants invade kitchens, pantries, or other areas where food is stored. Common issues include persistent trails of ants, nests hidden within walls or under floors, and recurring invasions despite cleaning efforts. Ant extermination services help solve these problems by eradicating colonies that often extend beyond the visible ants, preventing ongoing nuisance and potential contamination of food supplies. These services are especially useful when ant activity is persistent or difficult to manage with over-the-counter products.

Various types of properties benefit from professional ant extermination, including single-family homes, apartment complexes, and commercial buildings. Homes with visible ant trails or signs of nests are prime candidates for treatment. Commercial properties such as restaurants, grocery stores, and food processing facilities also rely on these services to maintain sanitation standards and prevent infestations that could impact business operations. Property owners and managers turn to local service providers to ensure that ant problems are handled efficiently and thoroughly, minimizing disruption and safeguarding their spaces.

Homeowners typically seek ant extermination services when they notice repeated ant activity or find nests in or around their property. These services are especially helpful during warmer months when ants are most active and seek shelter indoors. Whether dealing with a small invasion or a large colony, professional pest control providers can tailor treatments to suit the specific needs of each property. Contacting local contractors for ant extermination ensures that effective, targeted solutions are implemented to restore comfort and peace of mind in the home or business.

The overview below groups typical Ants Extermination Service projects into broad ranges so you can see how smaller, mid-sized, and larger jobs often compare in your area.

In many markets, a large share of routine jobs stays in the lower and middle ranges, while only a smaller percentage of projects moves into the highest bands when the work is more complex or site conditions are harder than average.

Small Ant Infestation Removal - Typical costs range from $250 to $600 for many smaller jobs, such as a single kitchen or pantry. Most routine treatments fall within this middle range, with fewer projects requiring extensive work. Local contractors can provide estimates based on the specific scope of the infestation.

Moderate Ant Control Services - Projects involving multiple areas or moderate-sized properties often cost between $600 and $1,200. These jobs may include multiple treatments or targeted baiting strategies. Larger or more complex cases can push costs higher, depending on the extent of the infestation.

Large-Scale or Persistent Infestation Treatments - Extensive ant problems, such as large colonies or ongoing issues, typically range from $1,200 to $3,000. Many of these projects involve multiple visits or specialized methods, with some larger or more complicated cases exceeding this range.

Full Property Extermination or Complex Projects - Complete eradication of ants across a large property or dealing with particularly stubborn infestations can reach $3,000 or more. These projects are less common and often involve extensive treatment plans, soil treatments, and ongoing monitoring, which can significantly increase costs.

Actual totals will depend on details like access to the work area, the scope of the project, and the materials selected, so use these as general starting points rather than exact figures.

Get a Quote

Pest Inspection and Prevention Projects - These projects involve identifying pest entry points and implementing preventative measures, similar to ant control planning and execution.

Rodent Control Services - Managing rodent infestations requires similar skills in pest identification, trapping, and exclusion techniques as ant extermination.

Termite Treatment Projects - Treating termites involves detailed inspection and targeted application of treatment solutions, paralleling ant extermination strategies.

Mosquito Control Programs - These projects focus on eliminating breeding sites and applying control measures, which share planning and application skills with ant pest control.

Bed Bug Eradication Services - Eradication involves inspection, treatment planning, and precise application, akin to ant extermination procedures.

Wildlife Removal Projects - Removing nuisance wildlife requires assessment, trapping, and exclusion methods, similar to the planning involved in ant pest management.

Ants Extermination Service

When comparing service providers for ant extermination, it’s important to consider their experience with similar projects. Homeowners should look for contractors who have a proven track record in handling ant issues comparable to their own situation. This can include understanding the types of ants involved, the severity of the infestation, and the specific methods used to address these pests effectively. A local contractor with relevant experience is more likely to be familiar with the common challenges and effective solutions specific to the area.

Clear written expectations are essential for ensuring that both parties understand the scope of work and the methods that will be used. Homeowners should seek out service providers who communicate their process, what treatments will entail, and any preparations needed beforehand. Having detailed information in writing helps prevent misunderstandings and provides a reference point should questions or concerns arise during or after the service. This transparency fosters trust and ensures that the homeowner’s needs are clearly understood and addressed.

Reputable references and good communication are key indicators of a reliable local contractor. Homeowners are encouraged to ask for references or reviews from previous clients to gauge the quality of the work and professionalism. Additionally, the ability to communicate clearly and promptly with the service provider can make the process smoother and more predictable. While the site introduces homeowners to local pros who can handle ant extermination services, it’s important to remember that the site itself does not perform the work. Connecting with trusted, experienced service providers through this process can help ensure the job is completed to satisfaction.

Get an Ants Extermination Service Quote

Property owners use Ants Extermination Service services for practical projects around their homes and businesses. This guide focuses on everyday jobs and straightforward project options.

Ants Extermination Service
Ants Extermination Service

Ants can become a common nuisance for property owners dealing with everyday issues like food contamination, structural damage, or persistent infestations. Local contractors specializing in ant extermination are often called upon when residents notice swarms in their kitchens, around their foundations, or inside wall voids. These service providers are equipped to assess the extent of the problem and implement targeted solutions to eliminate ants and prevent future invasions.

Property owners in the area may seek out ant extermination services for reasons such as maintaining a clean and safe living environment or protecting their investment from pest-related damage. Local service providers can handle situations like sudden ant outbreaks or ongoing issues in residential and commercial properties. Connecting with experienced contractors ensures that effective, professional assistance is available to address ant problems promptly and efficiently.

Get an Ants Extermination Service Quote

How do local contractors handle ant infestations? Local ant extermination service providers typically assess the extent of the infestation and apply targeted treatments to eliminate ants and prevent future issues.

What methods are used to get rid of ants? Service providers often use a combination of baiting, trapping, and residual insecticides to effectively control ant populations around a property.

Are there environmentally friendly options for ant control? Many local contractors offer eco-friendly treatment options that minimize the use of harsh chemicals while still effectively managing ant problems.

How can I identify an ant problem early? Signs include visible ant trails, the presence of ants indoors or outdoors, and small piles of dirt or debris near entry points.

What areas do ant extermination services cover? These services typically handle infestations in residential, commercial, and outdoor spaces where ants are active.

Identify ant entry points - Property owners can have local contractors inspect and seal cracks or gaps around windows, doors, and foundations to prevent ant intrusion.

Implement perimeter treatments - Setting up barrier sprays or treatments around the property’s exterior can help keep ants from entering living spaces.

Remove attractants - Clearing away food debris, spills, and excess moisture can make the environment less appealing to ants, with professional advice on effective cleanup.

Schedule regular inspections - Routine checks by local service providers can help detect early signs of ant activity and prevent larger infestations.

Ants Extermination Service

If you are thinking about Ants Extermination Service for a property, this guide is meant to help you understand the work, the typical project types, and how different options might fit your plans.

When you are ready, you can use the quote form on this page to share a few details about your project. From there, local pros can review the basics and respond with options that match what you have in mind.

Get a Quote

Ants Extermination Quotes

Our Trusted Partners
Pestgo Exterminators
Aantex Pest Control
Cleveland Chemical Pest Control Service